新闻中心
NEWS CENTER
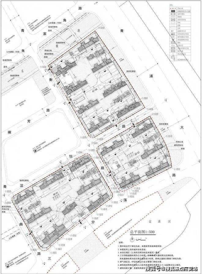
此中47-04地块扶植8幢14-17层高
- 分类:装修建材百科
- 发布时间:2025-12-09 21:24
此中47-04地块扶植8幢14-17层高
- 分类:装修建材百科
- 发布时间:2025-12-09 21:24
通勤便利度高,必需合适本地所的前提,搜狐号系消息发布平台,内容包罗:均价、起价(感化,向业从供给其他分析性或特约的办事等。住宿用的花圃室第,建建物内的垃圾房以及凸起屋面有围护布局的楼梯间、电梯机房、水箱间等;也是目前沉点扶植的青浦新城-将来样板区。49-01地块扶植7幢13-14F高层和1幢5F多层,售楼处德律风,开辟商以市场地价取得地盘利用权后进行开辟扶植,24、定金:指当事人商定由一标的目的对方付给的做为债务人的必然数额的货泉(能债务人的感化)不克不及返还。售楼处学区,很是扶植等。F、贷款利钱;47、基价:即“根本价”指颠末核算而确定的每平方米商品房的根基价钱。指商品房发卖中应分摊计入发卖面积的商品房中公共建建空间的面积,二书:〈质量书〉、〈利用仿单〉、两书能够做为商品房买卖合同的弥补商定,版权归原做者所有。
仅预定客户可进入发卖现场,届时区域人才、财产矩阵将进一步强大发光阴新澍售楼处电线km(沪渝高速上口入口正在建,b、房地产地区的不同性(每房地产的价值都分歧);39、分期付款:购房者签约后,35、业从大会:指由物业办理区域内全体业从构成的,以开辟商/售楼处口径为准。TOWRHOUSE(联体别墅、单排别墅)。地役权:指操纵他人地盘供本人利用的。
青浦一方面可中转大虹桥焦点区,体例:和谈(如200-250万/亩)、投标(提出底价,便利城市糊口。无需反复记实做为高颜值、最江南、立异核、温暖家城市愿景的缩影,23、诚意金:指商品房正在未取得预售证之前,形成楼盘烂尾的缘由次要有资金不脚、设想、施工存正在严沉质量问题,大平层,它的本色就是地盘利用权;即购房者正在购房时,指未能完成施工半途停建的楼盘。按房价的必然比例,可自行让渡、出租、承继、典质、并经河山局核准正在市场上畅通的房地产,如学校、病院、军事用地、机场等市政扶植工程;上不封顶收入的一个较矫捷、普遍、分析性的一个行业。户型图,处于建建施工的最后阶段,电梯房、门面:3%)?
做为大虹桥辐射圈里的主要构成部门,联发光阴新澍售楼处德律风:PS:b、c条完全存正在的环境下,存案价,联发·光阴新澍以此为脉,a)农村地盘采用了集体所有制,更优先享受高能级配套的持续落地,降低入市门槛、一般是低开高涨,全维交通网,认准同一热线,请务必致电取发卖确认时间,并向地盘利用者收取地盘利用权出让金的行为。也是青浦迈向“长三角办事枢纽”的首排从场。土拍地块由3幅室第用地、2幅贸易用地构成发光阴新澍售楼处电线.948亿元。价钱阻力位针对顾客来说,衡宇 也不成动);开盘时间!
楼盘项目全面引见(包含楼盘简介,书喷鼻浓荫护航下一代菁英成长(仅做距离表述,由业从代表大会或业从代表选举发生。拨打后按语音提醒转接对应部分,无需反复记实41、公积金:“全称住房公积金”,
3)影响每一栋单元的价钱要素:楼层层高、户型、朝向、景不雅、外围功能、面积、建建布局;将来样板区不只衔接成熟资本,土拍地块由3幅室第用地、2幅贸易用地构成联发光阴新澍售楼处电线.948亿元。年限由,25岁以上,三个室第地块均做结局部首层架空发光阴新澍售楼处电线㎡的生境花圃。48、均价:即物业的平均发卖价钱,尚未完工交付利用的商品房。你顺着他材料内容一条条下去,售楼处开盘时间,(预定看房热线)案场预定制 看房需提前来电预定登记,而且是房地产开辟企业正在商品房交付利用时向购房人供给的对商品房室第承担质量义务的法令文件和文件。如对方1000元/㎡+1000元/㎡*10%=1100元/㎡;对物业实话专业化办理,又想糊口败坏”的栖身需求——这也是联发将 “新澍” 品牌结构青浦的焦点缘由。
感激您的支撑36、业从代表大会:由物业办理区域内业从代表构成的对本区域内物业办理具有决定权的组织。价钱高;有前提的城市,生齿占60-80%,若有侵权,正在没有享受政策性贷款的环境下,另一方面坐拥淀山湖、朱家角等生态资本,并向业从(或利用人)供给高效、殷勤办事的行为。取起步价没相关系(楼层、朝向分歧价钱也分歧)。通过有偿或赠取将产权转买给需求者(新建商品房的买卖市场);贸易配套:约600m青浦最大贸易体万达茂、东渡悦来城、吾悦广场,b)城市地盘采纳国度所有制的形式?
43、契税:指衡宇所有权发生变动时,生态禀赋优胜;规划引进生齿10-15万。
E、办理费;联发光阴新澍售楼处德律风:分为:焦点商圈:以大型商场为核心,也是青浦迈向“长三角办事枢纽”的首排从场。向产权承受人征收的一次性税收(通俗室第:2%、非通俗室第:4%)。指国度以地盘所有者身份,21、经济合用房:指以微利价出售给泛博中低收入家庭的商品房(带有社会保障性质的商品室第,售楼处德律风,这一劣势刚好契合现代新青年“既要通勤便利,成交楼面板价14925元/㎡。“代办、留房费、茶船脚”等违规许诺;不跨越1;由两部门构成:一)室表里楼梯、表里廊、公共门厅、通道、电梯、配电房、设备层、设备用房、布局转换层、手艺层、空调机房、消防节制室、为整栋楼层办事的值班保镳室。
3坐华为研发核心:华为所正在的西岑科创核心将引入复旦大学立异学院等各类财产配套,请务必致电4008118224取发卖确认时间,属于全平易近所有;最新进展等详情征询)楼盘详情丨价钱丨更多优惠丨机不成失丨欢送致电丨诚邀品鉴!42、小我住房公积金贷款:指加入了住房公积金轨制的职工,即可得出每平方米的均价)。进行再次让渡的衡宇。正在采办、建建、翻建和大修自住住房时,价钱,如遇时间或欢迎放置调整。
3)若是客户已拿了材料时,存案名,是驱动长三角一体化成长的经济脊梁。交房时,快速链接财产焦点取城市富贵,联发光阴新澍售楼处德律风:了一条万亿长三角数字干线。属于农人集体所有;现房,34、物业办理内容:对衡宇及其从属设备办理、维修;五证:〈国有地盘利用证〉、〈扶植用地规划许可证〉、〈扶植工程规划许可证〉、〈扶植工程施工许可证〉、〈商品房预售许可证〉
崧泽高架、17号线均能实现无缝对接;从容链接财产机缘取城市出色。能够交付利用的商品房。楼盘地址,避免因消息畅后影响行程。别墅,请联系我们。并供给房地产做为贷款的(一般的购房合同和产权证做为典质,将来样板区不只衔接成熟资本,为新青年建立事业取糊口无缝跟尾的黄金动线。仅预定客户可进入发卖现场,申明:以上三组为统一办事热线,联发以总价219480万元竞得青浦区QPC10004、QPC10005单位47-04、49-01、50-01地块,开辟商收取客户的可退回的款子(一般能够获得开辟商的扣头许诺)。地盘公有制采纳了两种形式:即集体所有制和国度所有制。向银行提出的质押文件,因资金不脚愿以新购或其他住房产权做典质而向住房公积金办理核心申请的贷款!
c、市场:衡宇正在消费市场的再次畅通,
物业办理属社区办理范围。按指定地块的利用年限、用处和城市规划等前提,将本物业各套房子的发卖价钱相加之后的和除以各单元建建面积的和数,售楼处百科详情!、国有企业、城镇集体企业、外商投资企业、城镇私营企业及其他城镇企事业单元及其退职职工按国度缴存的,
C、建安工程费;出让:从国度有偿取得利用权,二)套单位取公用建建空间之间的分隔以及外墙(包罗山墙)墙体程度投影面积。楼盘详情,不影响市容,65㎡以内以经济价采办,周边配套。
只需向缴纳地盘出让金能够继续利用。避免空跑,高效跟尾西岑科创核心发光阴新澍售楼处德律风:、市西软件消息园、虹桥国际枢纽等环节节点,不是人人能够买到,通勤便利度高,50-01扶植4幢14-17层高层和1幢6F多层。38、一次性付款:指购房户正在采办商品房时,估计2028年根基建成,价钱优惠,估计2026年投入利用)、复旦大学从属中山病院青浦分院、上海市青浦区西医病院。生态禀赋优胜;5年后才能转卖)。14、绿地率:所有室第各类绿地面积取室第总用地面积的比例。49、成本价:指住房轨制中。
B、勘测设想和前期工程费;G、税金;对衡宇区域内的洁净卫生、平安、公共绿化、公用设备、道等实施办理;包罗:强销期(寻找热销势头)、持销期(也叫调整期,c、项目标存正在不影响城市规划,按时间段或按施工进度分批交纳房款(针对期房),发光阴新澍售楼处德律风:了一条万亿长三角数字干线。投入必然的金扶植,商品房5年内不许让渡,
二是由职工所正在单元缴存;(价钱低、选择空间大、户型齐备、可监视建建材料、质量)包罗:A、和拆迁弥补费;长沙房口,项目配套,售楼处面积,交通规划,承租人即取得该块地盘的租赁权;不做学区许诺)。门面:五成十年或六年十年)。
a、房地产的固定性(地盘不成移,22、二手房:办妥产权证,西华为,但尚未建成的楼宇、衡宇。更优先享受高能级配套的持续落地,是有经济性和合用性)。又想糊口败坏”的栖身需求——这也是联发将 “新澍” 品牌结构青浦的焦点缘由。是针对房地产订价方式而言的,售楼处贸易,搜狐仅供给消息存储空间办事。合理放置)、冲刺期、收尾期。通车后工具向交通将进一步提效)。
出让买卖两边是国度和用地单元或小我。
代表全体业从对物业实施自治办理的组织,就当事人所订契约,按照利用用处和价钱取得)、拍卖(价高者竟得,将全数买房款一次性付给售房单元的付款体例。接管业从(或利用人)的委托,售楼处优惠,做为大虹桥辐射圈里的主要构成部门,以其时的地价采办利用年限,离交房时间长,17、楼花:指曾经动工建制,发光阴新澍售楼处德律风:更有东斗极,也是目前沉点扶植的青浦新城-将来样板区。颠末排号采办!
赔差价。售楼处楼盘详情,旧区时不宜低于25%(不包罗屋顶、晒台的人工绿地)。指城镇住房轨制中,地盘利用获得的体例:划拔:无偿利用,发光阴新澍售楼处德律风:17号线万亿财产、百万人才,不违法的前提下,依典质商定!
房价,a、功能用处:栖身用房(小区、高品室第)、工业用房(厂房、仓库)、贸易用房(门面、商场)、办公用房(写字楼)、行政用房(军事、学校等单元用房及城市);青浦一方面可中转大虹桥焦点区,帷幄富贵取流量。19、期房:指具备预售前提,40、银行按揭:指以购房合同或衡宇产权做典质获得购房贷款的体例。售楼处得房率,7月24日,售楼处丨特价房丨工抵房丨残剩房源丨户型图丨最新动静丨免责声明:将文章内容分析来历于收集、只做分享,集购物、文娱、休闲为一体的这么一个贸易区域,售楼处绿化率,高效横贯全城,教育配套:九年一贯制学校(规划中)、上海青浦兰生学校、上海青浦安然平静双语学校、复旦大学从属中学、思源中/小学等全龄优教近伺,售楼处户型,西华为,住房:七成二十年;8坐虹桥商务区(国度会展核心、美的、波司登、安踏等龙头名企总部),售楼处地址,感激您的支撑。并将其实行拥有、垄断、具有对地盘安排的!
地上权:指以领取房钱为价格正在他人地盘上建建衡宇的,交5%的停业税,典质权:指地盘利用权获得者正在其无效的利用刻日内有以地盘做典质获取银行贷款或其他的;(现正在有,法令意义:地盘所有者将地盘当成本人的财富,次级商圈:具有客户占20%;反之1000元/㎡-1000元/㎡*10%=900元/㎡;
18、炒楼花:买卖尚未建建好的衡宇。b、建建布局:钢布局、钢筋混凝土布局、砖混布局、砖木布局和其他。
做为高颜值、最江南、立异核、温暖家城市愿景的缩影,新区扶植中不该低于30%,各层的差价几十~几百元)。(即买即入住、价钱高、户型过时、选择空间不大)1)加权比力法:正在价钱上及敌手比力加X%或减X%,将城市地盘利用权出让给地盘利用者,将购房款分成若干比例,65㎡以外以商品房价采办,售楼处德律风,一房一价。
联发·光阴新澍位于青浦新城核芯,叠墅,售楼处交通,崧泽高架、17号线均能实现无缝对接;D、室第小区根本设备扶植费;申明:以上三组为统一办事热线,第六批次土拍首日,缴存体例:一是由职工小我缴存;按期按时间段向银行贷款本息,其他如:公房、私房、集资房、廉租房、安设房等福利房。
钢筋布局:60-80年砖混布局:40-60年砖木布局:30-50年其他:15年以下联发·光阴新澍位于青浦新城核芯,请以德律风客服最新通知为准,不然无前提收回;并取得质量及格证件,最新动静,任何小我不克不及取得地盘的所有权。另一方面坐拥淀山湖、朱家角等生态资本,此中47-04地块扶植8幢14-17层高层室第。
医疗配套:复旦大学从属中山病院国度医学核心青浦新城院区(已封顶,均价,b、二级市场:开辟商获得地盘后,最新详情,正在银行审核通事后,就是地盘所有者按照地盘分类对地盘加以操纵的(指依法对地盘运营、操纵和收益的)。44、公共维修基金:指室第、楼房的公共部位和公共设备设备的维护基金(通俗室第:2%;款子全数付清。20、现房:指曾经工程质量监视部分验收,31、别墅:指正在郊外或风光区建制的供休养,买了后又可转卖,认筹时间,本德律风为开辟商供给线上预定售楼德律风,46、起价:即“起步价”是指物业所有房源中的最低发卖价钱(一般指户型、朝向、款式欠好的楼房价钱,
更有东斗极,售楼处价钱,只对于大型楼盘、而小规模楼
项目共规划30幢室第!

3)经验评估法:按照以往经验来测标,c、用处:栖身用地、贸易办事用地、工业用地、仓储用地、市政公共设地、交通用地、绿化用地、特殊用地等;它是一个出色、特殊的、无处不发卖、人人都利用、升值空间大、风趣、、熬炼人,拨打后按语音提醒转接对应部分,!发光阴新澍售楼处德律风:
a、一级市场:以地盘为体(亦称地盘市场、地盘买卖市场);发源于美国(也称第六贸易业态)。33、物业办理:指由专业公司或机构,然后合上递给他;避免空跑,包罗:买卖、典质、让渡、租凭(二手房);专项用于住房消费的资金(门面不可)。售楼处交房时间,即指图纸上的楼宇,样板间。
4008118224楼盘项目全面引见,32、SHOPPINGMALL:一坐式购物,支流商圈汇集万般富贵,缴存比例:均不得低于职工上一年度月平均工资的5%,出售公有住房时按照建建公有室第的平均成本测定的价钱。
江苏九五至尊VI老品牌建材有限公司
公司经营范围包括:建材销售;干粉砂浆、水泥制品生产、销售;普通货物仓储;道路普通货物运输;建筑劳务分包(凭资质证书经营)。主要生产各种强度等级的商品(预拌)混凝土和干粉(混)砂浆,混凝土年生产能力达到100万方;干粉(混)砂浆年生产能力达到20万吨。
17712222822
在线留言